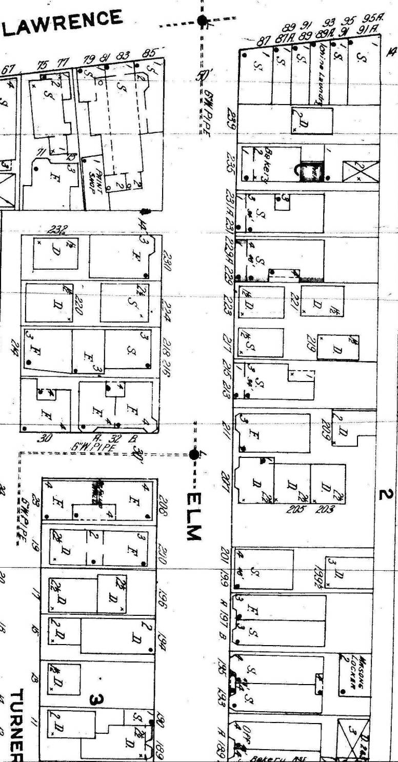
RETURN TO ELM STREET DIAGRAM

Elm Street, Lawrence, Mass.

Sanborn Map, 1911