RETURN TO ELM STREET

232 Elm Street, Lawrence, Mass.

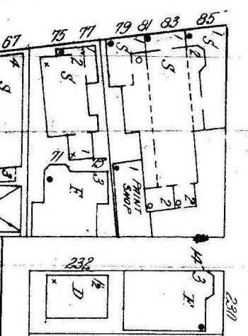
Map with Elm St. at right, Lawrence St. at top, and alley running to the left off Elm St. and then turning to run down. In lower left is 232 Elm St., 1-1/2 story dwelling behind #230; enter from alley.

Summary

Angelo DiZazzo and family lived here from at least 1924 and until at least 1945.

Details

  • The Lawrence City Directory (1924, 1925, 1928, 1929, 1930, 1931, 1934, 1935, 1937, 1938, 1939, 1941, 1942, 1944, 1945) lists Angelo DiZazzo residing at 232 Elm St.

  • World War Two Draft Registration Card showing Angelo Di Zazzo, dwelling at 232 Elm St.

  • 1930 U.S. Census shows (on line #48) Angelo DiZazzo, age 34, dwelling at 232 Elm St.

    Angelo and Mary DiZazzo in the alley by 232 Elm St., about 1946.